Téléchargez le décret et le calendrier électoral révisés, publiés au journal officiel





iciHaïti - Cap Haïtien : Mission d’Urgence Interministérielle

iciHaïti - Social : L’Administration Générale des Douanes paralysée

iciHaïti - Rep. Dom. : Le Consul d’Haïti à Santiago a rencontré la Fédération protestante des pasteurs haïtiens

iciHaïti - MHAVE : Situation de plusieurs milliers d’Haïtiens vivant à Cuba

iciHaïti - Libération et mesures conservatoires prises contre 4 policiers


+ de nouvelles


Haïti - Loisirs : Le Saviez-vous ? #20

Zapping Haïti du 30 avril 2026

Haïti : Lancement du projet PSARA Klere Chimen dans le département du Sud

Colloque sur la migration : le Ministre du MAST plaide en faveur de la protection des migrants haïtiens

Haïti : La CCIO lance un appel : «Face à l’urgence, l’inaction n’est plus une option»


+ de nouvelles



Haïti - IRMA : Risque d'impact d'intensité forte à extrême
07/09/2017 09:15:32

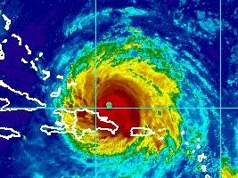
Haïti - IRMA : Risque d'impact d'intensité forte à extrême

Le Centre du dangereux Ouragan IRMA de catégorie 5 sous l'échelle SAFFIR -SIMPSON, se déplace au Nord-est de la République Dominicaine très tôt ce matin et s'approchera les côtes Nord d'Haïti dans les prochaines heures. La vitesse de déplacement continue d'augmenter, elle passe à 28km/h toujours dans la direction Ouest-Nord-Ouest.

Au vu du déplacement de l'Ouragan d'IRMA et de sa force destructive les conditions météo vont commencer à se dégrader pour devenir très dangereuses au cours des prochaines heures sur le pays notamment sur les départements du Nord-est, du Nord et du Nord-ouest, qui restent toujours sous des conditions des vents d'ouragan et ceux du Centre, de l'Artibonite et l'Ouest sous des conditions des vents de Tempête. IRMA maintient sa forte capacité pluviométrique allant de 200mm à 300mm par endroits pouvant causer des cas d'inondations sévères des coulés de boues, des glissements et d'éboulements de terrains. Les conditions maritimes demeurent dangereuses avec des vagues qui pourraient atteindre 4 à 5 m et engendraient des cas de submersions marines.

En conséquence, le SPGRD de concert avec la DPC et l'UHM passe ce jeudi 7 septembre 2017 à 5 heure am la phase d'alerte 2 au niveau de Vigilance Rouge (i.e. risque d'impact d'intensité forte à extrême) aux fortes pluies, de coup de vent et maintient l'activation du Plan National de Gestion des Risques et des Désastres (PNGRD) face aux menaces de fortes pluies et de forts vents avec risques d'éboulements, de forte houle, de glissements de terrain et d'inondations sur tout le pays particulièrement sur les départements du Nord, du Nord'Est, du Nord'Ouest, du Centre et de l'Artibonite.

Le SPGRD de concert avec la DPC et L'UHM recommande à la population s'installant dans les zones vulnérables de partir rapidement pour regagner les abris en suivant les consignes des autorités locales.

Le SEMANAH, l'OFNAC et l'AAN de concert avec l'UHM, interdit temporairement toutes les opérations maritimes et de vols en provenance ou à destination des Ports et Aéroports sur toute la région Nord du pays jusqu'à nouvelle ordre.

Lire aussi :

https://www.haitilibre.com/article-22033-haiti-flash-irma-a-415-km-du-cap-haitien-vols-annules.html

HL/HaïtiLibre



Twitter Facebook Rss
Envoyer l'article à... Nouvelles du Jour...
Read in English


Réagissez à cet article
Pseudo :
Email :

Votre adresse email ne sera pas divulguée - Commentaire refusé si votre adresse email est fausse


0 caractères saisis. | 1500 caractères restants.
Avant de réagir lisez notre charte de modération


 




Pourquoi HaïtiLibre ? | Contactez-nous | Charte de modération | Privacy policy | English
Copyright © 2010 - 2026
Haitilibre.com -n