Téléchargez le décret et le calendrier électoral révisés, publiés au journal officiel





iciHaïti - Cap Haïtien : Mission d’Urgence Interministérielle

iciHaïti - Social : L’Administration Générale des Douanes paralysée

iciHaïti - Rep. Dom. : Le Consul d’Haïti à Santiago a rencontré la Fédération protestante des pasteurs haïtiens

iciHaïti - MHAVE : Situation de plusieurs milliers d’Haïtiens vivant à Cuba

iciHaïti - Libération et mesures conservatoires prises contre 4 policiers


+ de nouvelles


Haïti - Loisirs : Le Saviez-vous ? #20

Zapping Haïti du 30 avril 2026

Haïti : Lancement du projet PSARA Klere Chimen dans le département du Sud

Colloque sur la migration : le Ministre du MAST plaide en faveur de la protection des migrants haïtiens

Haïti : La CCIO lance un appel : «Face à l’urgence, l’inaction n’est plus une option»


+ de nouvelles



Haïti - IRMA : Haïti moins affecté mais la prudence est de mise
07/09/2017 17:52:38

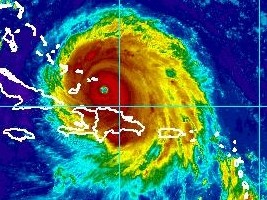
Haïti - IRMA : Haïti moins affecté mais la prudence est de mise

A 17h00, l'œil distinct de l'ouragan Irma était situé près de la latitude 20,9 nord, longitude 71,1 ouest, soit 175km au Nord Est du Cap-Haïtien, étant donné la trajectoire Haïti devrait être un peu moins affecté, car le système s'éloigne de la côte nord du pays, toutefois des pluies et du vent sont attendu sur presque l'intégralité du territoire.

La Direction de la Protection Civile (DPC) informe de début d’inondation à Ouanaminthe. À Fort-Liberté, toitures de maisons emportées par les forts vents. La nationale #3 entre Hinche Cap-Haïtien est bloquée par les crues de la Ravine Grand Couime. De fortes pluies s'abattent sur le Nord-Est. Il pleut sur le Nord et sur le Plateau Central. Le Nord-Ouest a reçu des averses ce matin.

Irma se dirige vers l'ouest-nord-ouest à 16 mph (26 km/h), et ce mouvement général devrait se poursuivre au cours des prochains jours avec une diminution de la vitesse. L'oeil d'Irma devrait continuer à se déplacer entre Hispaniola et les îles Turques et Caïques ce soir. Le noyau de l'ouragan se déplacera ensuite entre la côte nord de Cuba et les Bahamas au cours des deux jours suivants.

Les vents maximums soutenus restent à près de 175 mph (280 km/h) avec des rafales plus élevées. Irma est un ouragan de catégorie 5 sur l'échelle de vent d'ouragan Saffir-Simpson. Certaines fluctuations d'intensité sont probables au cours des deux jours suivants, mais Irma devrait rester un ouragan puissant de catégorie 4 ou 5 au cours des deux prochains jours.

Les vents de force ouragan s'étendent jusqu'à 70 milles (110 km) du centre et les vents de la force de empêtes tropicales s'étendent jusqu'à 185 milles (295 km).

HL/ HaïtiLibre



Twitter Facebook Rss
Envoyer l'article à... Nouvelles du Jour...
Read in English


Réagissez à cet article
Pseudo :
Email :

Votre adresse email ne sera pas divulguée - Commentaire refusé si votre adresse email est fausse


0 caractères saisis. | 1500 caractères restants.
Avant de réagir lisez notre charte de modération


 




Pourquoi HaïtiLibre ? | Contactez-nous | Charte de modération | Privacy policy | English
Copyright © 2010 - 2026
Haitilibre.com -n