Téléchargez le décret et le calendrier électoral révisés, publiés au journal officiel





iciHaïti - Cap Haïtien : Mission d’Urgence Interministérielle

iciHaïti - Social : L’Administration Générale des Douanes paralysée

iciHaïti - Rep. Dom. : Le Consul d’Haïti à Santiago a rencontré la Fédération protestante des pasteurs haïtiens

iciHaïti - MHAVE : Situation de plusieurs milliers d’Haïtiens vivant à Cuba

iciHaïti - Libération et mesures conservatoires prises contre 4 policiers


+ de nouvelles


Haïti - Loisirs : Le Saviez-vous ? #20

Zapping Haïti du 30 avril 2026

Haïti : Lancement du projet PSARA Klere Chimen dans le département du Sud

Colloque sur la migration : le Ministre du MAST plaide en faveur de la protection des migrants haïtiens

Haïti : La CCIO lance un appel : «Face à l’urgence, l’inaction n’est plus une option»


+ de nouvelles



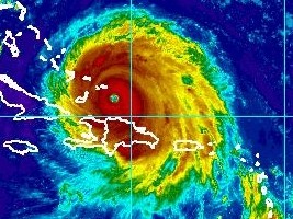
Haïti - FLASH : Rapport de situation après le passage d’IRMA
09/09/2017 08:11:46

Haïti - FLASH : Rapport de situation après le passage d’IRMA

Suite au passage sur Haïti de l'ouragan IRMA de catégorie 5, le Centre d’Opérations d'Urgence National (COUN) dans son bulletin # 3 nous informe :

16 communes des départements du Nord-Est, du Nord, du Centre, de l’Artibonite et de l’Ouest sont partiellement inondées par les eaux de ruissellement et les crues des principales rivières des dits départements :

Nord-Est : Ouanaminthe (inondations sévères par endroits), Fort-Liberté, Caracol, Ferrier et Trou-du-Nord

Nord : Pilate et Limonade

Centre : Hinche et Mirebalais, Lachapelle, Grande Saline, Dessalines, Saint-Marc

Ouest : Cabaret, Tabarre et Thomazeau

La Protection civile et ses partenaires ont procédé à l’évacuation de 10,085 personnes vers 59 abris provisoires dans 6 départements et des milliers d’autres se sont rendues dans des maisons d’accueil ;

Nord-Ouest : 1,553 personnes dans 11 abris ouverts ;

Grand-Anse : 529 personnes dans 6 abris (Chambellan et Beaumont) ;

Nord-Est : 6,290 personnes dans 14 abris ;

Artibonite : 169 dans 4 abris ;

Centre : 550 personnes dans 13 abris ; Nord : 994 personnes dans 11 abris.

Des tronçons de routes sont coupés dans le Centre, entre Hinche et Thomassique et aussi Hinche et Cap-Haïtien en passant par Pignon, à cause des crues de la Ravine Couine. La route nationale numéro 3 est coupée en deux endroits, à hauteur de la Ravine La Couine et entre Saint-Raphaël et Pignon ;

L’alerte rouge est levée sur tout le territoire national

Au lendemain du passage d’IRMA qui a causé des inondations, des chutes d’arbres, des dégâts sur l’agriculture et le bâti, l’Organisation pour le développement de la vallée de l’Artibonite a alerté la population en aval, de l’ouverture, vendredi matin, des écluses du barrage Cannot, pour laisser passer 500 m3 d’eau, en raison de l’augmentation du débit du fleuve de l’Artibonite due aux affluents (rivière Fer-à-Cheval, rivière Latème et quelques ravines) qui s’y déversent ;

Vendredi, les fortes pluies ont cessé, tôt dans la matinée sur l’ensemble du pays et les conditions de météo reviennent graduellement à la normale.

Habitat :

Des maisons sont détruites ou endommagées, y compris des toitures emportée par les vents, au niveau des départements touchés. Des évaluations sont en cours pour compléter les données relatives aux impacts sur le bâti.

Agriculture et Environnement :

Le Ministère de l’Environnement est en train de mobiliser des matériels de génie civil pour faciliter le curage et colmatage des brèches.

Inondation de 450 hectares des périmètres agricoles de Jassa par la rivière portant le même nom. Des pertes considérables ont été enregistrées dans les plantations de riz, de gombo, patates douces, bananes, piment, pois souche.

Le Fleuve Artibonite est en crue depuis le début de la soirée du 7 septembre.

Lire aussi :

https://www.haitilibre.com/article-22047-haiti-flash-premier-bilanpartiel-du-passage-d-irma.html

HL/ S/ HaïtiLibre



Twitter Facebook Rss
Envoyer l'article à... Nouvelles du Jour...
Read in English


Réagissez à cet article
Pseudo :
Email :

Votre adresse email ne sera pas divulguée - Commentaire refusé si votre adresse email est fausse


0 caractères saisis. | 1500 caractères restants.
Avant de réagir lisez notre charte de modération


 




Pourquoi HaïtiLibre ? | Contactez-nous | Charte de modération | Privacy policy | English
Copyright © 2010 - 2026
Haitilibre.com -n