Téléchargez le décret et le calendrier électoral révisés, publiés au journal officiel





iciHaïti - 2e édition de la Foire agro-gastro-artisanale du Programme National de Cantines Scolaires

iciHaïti - Le CONATEL Salue la contribution remarquable des radioamateurs au pays

iciHaïti - Technologie « […] les jeunes filles façonnent l’avenir numérique »

iciHaïti - Économie : Projet de coopérative pour des personnes handicapées

iciHaïti - Le Ministère du Tourisme salue la contribution exceptionnelle de la diaspora haïtienne


+ de nouvelles


Zapping Haïti du 26 avril 2026

Haïti : 37ème session de la Table Sectorielle et Thématique de Protection Sociale

Le MTPTC s’attaque aux freins du secteur de la construction en Haïti

Projet de formation en Haïti ciblant 5,000 jeunes de quartiers à haut risque

Le nettoyage de Cap-Haïtien en Haïti, se poursuit à travers «Konbit Netwayaj»


+ de nouvelles



Haïti - Environnement : Sandy, effets indirects pour Haïti (MAJ)
24/10/2012 07:31:24

Haïti - Environnement : Sandy, effets indirects pour Haïti (MAJ)

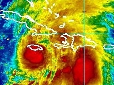
La tempête tropicale Sandy, ce matin (5 am), continue sa trajectoire un peu plus rapide, à 22km/h, vers le nord, tout en s'intensifiant graduellement au voisinage des côtes sud de la Jamaïque.

5 heures du matin

Sandy est localisée ce mercredi 24 Octobre 2012 à 5 heures à 16.3 degrés de latitude Nord et 77.0 degrés de longitude Ouest soit à environs 190 km au Sud de Kingston Jamaïque, 475km au sud sud-ouest de Guantanamo Cuba, 407km au Sud-Ouest des Cayes. Sandy se déplace vers le nord à environs 22km/h. Les vents maximums soufflent à 110km/h avec des rafales bien au-dessus. Les vents de tempête soufflent à 220km à partir du centre.

11 heures du matin

Sandy, devenue un ouragan, est localisée ce mercredi 24 Octobre 2012 à 11 heures à 17.1 degrés de latitude Nord et 76.7 degrés de longitude Ouest soit à environs 100 km au Sud de Kingston Jamaïque, 380km au sud sud-ouest de Guantanamo Cuba, 336km au Sud-Ouest des Cayes. Sandy se déplace vers le nord nord-est à environs 20km/h. Les vents maximums soufflent à 130km/h avec des rafales bien au-dessus. Les vents de tempête soufflent à 220km à partir du centre.

Le Centre national de météorologie (CNM) rappelle que « d'après les dernières analyses numériques des modèles de prévision, cette tempête à une forte capacité pluviométrique et pourrait déverser entre 150 à 300mm de pluie sur les plaines et 500 mm sur les massifs montagneux. »

Le CNM informe que le bassin Caribéen reste sous l'influence de la tempête tropicale Sandy. En effet, l'île d'Haïti pourrait connaitre un temps perturbé par les effets indirects de cette tempête sous forme de grain (pluie et vent) et d'orage violent sur toute la façade sud et peu violent sur les autres départements du pays. Mercredi le temps sera nuageux à couvert en journée ; De la pluie et des orages sont prévus à la mi-journée et en soirée. Jeudi, quelques rares percées de soleil dans la matinée, Pluie et orages en soirée.

En conséquence, le SPGRD maintient ce Mercredi 24 Octobre 2012 à 6 heure du matin la phase d'alerte au niveau de Vigilance Orange, plus particulièrement pour les départements de l'Ouest, du Sud, du Sud-est, des Nippes et de la Grand-anse (à 8 heures sur tout le pays), par rapport au menaces de forts vents, fortes pluies et de grosses mers avec risques d'éboulements, de glissements de terrains et d'inondations.

À 8 heures, le niveau de Vigilance Rouge a été décrété pour les départements du sud, du sud-est, des nippes, de l'ouest et de la Grand-anse et Orange pour le reste des départements.

Cabotage

Les activités de cabotage sont interdites sur toute la côte sud d'Haïti et le golfe de la Gonâve, et les navires doivent rester dans leur port ou dans les eaux abritées jusqu’à nouvel ordre.

Vols

Cependant, il est impératif que les vols locaux en provenance et à destination des côtes sud fassent preuve de prudence car dans la mesure où le système se rapproche de la Jamaïque, des coups de vent peuvent sévir à tout moment sur toute la péninsule sud d'Haïti.

HL/ HaïtiLibre



Twitter Facebook Rss
Envoyer l'article à... Nouvelles du Jour...
Read in English


Réagissez à cet article
Pseudo :
Email :

Votre adresse email ne sera pas divulguée - Commentaire refusé si votre adresse email est fausse


0 caractères saisis. | 1500 caractères restants.
Avant de réagir lisez notre charte de modération


 




Pourquoi HaïtiLibre ? | Contactez-nous | Charte de modération | Privacy policy | English
Copyright © 2010 - 2026
Haitilibre.com -n