|
|
|
| Sécurité : Justice, police, armée, formation, actualité... |

 |
Haïti - FLASH : Consignes de l’Ambassade d’Haïti à l’attention des haïtiens en RD 07/09/2017 07:43:39 |
| Mercredi dans une note, l’Ambassade d’Haïti en République Dominicaine informe la communauté haïtienne qu’en prévision du passage de l’ouragan IRMA qui touchera, ce jeudi 7 septembre, une bonne partie du territoire dominicain... |
| Lire la suite... |
| |

 |
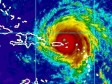
Haïti - FLASH : IRMA à 415 km du Cap-Haïtien - vols annulés 07/09/2017 05:58:04 |
| Ce matin à 5h00 a.m., le Centre de l'ouragan IRMA de catégorie 5 était situé près de la latitude 20.0 Nord et de longitude 68.3 Ouest, ou 160 km au Nord de la pointe Est de la République Dominicaine et à 415 km au Nord Est du Cap-Haïtien...
|
| Lire la suite... |
| |

 |
Haïti - FLASH : Avis aux voyageurs canadiens (IRMA) 07/09/2017 05:38:27 |
| Affaires mondiales Canada recommande d’éviter tout voyage sur la côte Nord d'Haïti, de la frontière avec la République dominicaine jusqu’au Mole St. Nicholas à l'Ouest, à cause du passage de l'ouragan IRMA.... |
| Lire la suite... |
| |

 |
Haïti - IRMA : Premiers impacts très tôt jeudi matin 06/09/2017 17:15:05 |
| Le Centre national de météorologie (CNM) informe que les premiers impacts du système sont prévus très tôt jeudi matin avec des rafales soutenus, des averses généralisées et une mer houleuse sur la région Nord du pays... |
| Lire la suite... |
| |

 |
Haïti - FLASH : Mobilisation générale au pays face à la menace d'IRMA 06/09/2017 10:52:31 |
| Michel-Ange Gédéon le Directeur Général de la PNH informe tous les policiers des 10 Départements, qu'ils doivent regagner leurs postes le plus vite possible... |
| Lire la suite... |
| |

 |
Haïti - FLASH : IRMA en catégorie 5, Haïti en alerte ROUGE 06/09/2017 06:26:24 |
| « [...] Le Gouvernement de la République a décidé d'enclencher le plus gros niveau d'alerte, l'alerte rouge à partir de ce mercredi 8 heures du matin sur l'ensemble du territoire, » a déclaré le Premier Minsitre Jack Guy Lafontant... |
| Lire la suite... |
| |

 |
Haïti - Sécurité : Une faille sismique inconnue sous le plateau Central... 05/09/2017 08:45:15 |
| Le séisme de magnitude 4.3 sur l'échelle de Richter qui s'est produit samedi dans le Plateau Central... |
| Lire la suite... |
| |

 |
Haïti - FLASH : IRMA en catégorie 4, Haïti en pré-alerte jaune 05/09/2017 06:31:44 |
| Ce mardi matin l'ouragan IRMA avec des vents maximums soutenus à près de 240 km/h et des rafales plus élevées est passé en Catégorie 4 sur l'échelle Saffir-Simpson. IRMA pourrait atteindre la côte Nord d’Haïti... |
| Lire la suite... |
| |

 |
Haïti - Sécurité : La police travaille dans des locaux misérables et délabrés... 04/09/2017 10:57:23 |
| Suite à des visites de terrains de plusieurs commissariats et sous-commissariats du pays, le RNDDH se dit consterné par les conditions misérables de travail dans lesquelles évoluent nos policiers, parfois logées dans des immeubles délabrés, aux toits... |
| Lire la suite... |
| |

 |
Haïti - FLASH : Bilan du Séisme dans le plateau Central 04/09/2017 06:48:59 |
| Le séisme a provoqué un début de panique à la maternité de Belladère, sans faire de victimes. Une maison a été fortement endommagée à Carrefour Flandé, Dans le Centre, 6 maisons et l'école nationale de Deny ont été... |
| Lire la suite... |
| |
|
|
|
|